更多
APP下载
合作
商城
签到
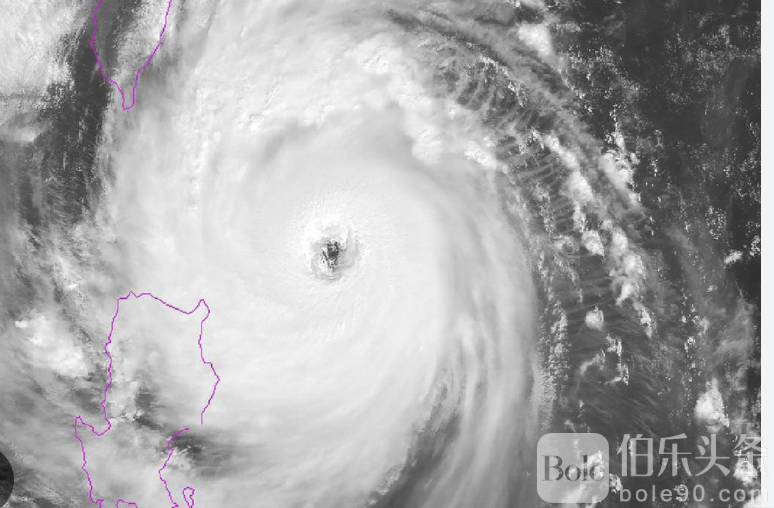
一月或有热带气旋影响菲律宾,气象局发布最新提醒
2025-1-2 10:42
头条新闻
15061

伯乐头条专讯:菲律宾气象局1月1日表示,本月可能在菲律宾责任范围(PAR)内生成一个热带气旋,并可能对东未狮耶或卡拉加地区构成影响。根据气象预测,这个热带气旋可能登陆菲律宾,但也有偏离的可能性。  

与此同时,菲律宾昨日仍受赤道辐合带和切变线的双重影响,导致全国多地出现多云、降雨及雷暴天气。  

未狮耶、卡拉加、纳卯地区以及巴拉望、伦布伦、葛丹恋斯、亚眉、殊殊银和马实描地等地持续出现多云天气,并伴有零星降雨和雷暴。而棉兰佬岛其他地区同样面临局部多云到阴天的天气情况,伴随阵雨或雷暴。  

大岷区、卡拉描顺、加牙鄢、伊沙迷拉、基仁诺、亚巴遥、欧罗拉及马仁杜计等地受切变线影响,出现多云天气,伴随零星降雨和雷暴。吕宋岛其他区域则以局部多云到阴天为主,并可能有阵雨或雷暴。  

描丹尼斯群岛出现了多云和降雨天气,而伊罗戈地区、科迪礼拉行政区以及蕊描未实加耶省则因东北季候风影响,普遍以局部多云到阴天为主,并伴有零星小雨。  

气象局呼吁民众密切关注天气预报,特别是可能生成的热带气旋的动向。此外,持续的降雨可能导致局地积水和山体滑坡,相关地区需提前采取预防措施。  

随着一月份天气系统的复杂变化,菲律宾气象局将继续监测并提供最新信息,以确保公众安全。
社区好帖更多帖子
返回顶部